昨日は沖根周りのソイ狙いでした!近場は濁りでサッパリとのことで、ちょっと走ってベタナギのなか開始🚢
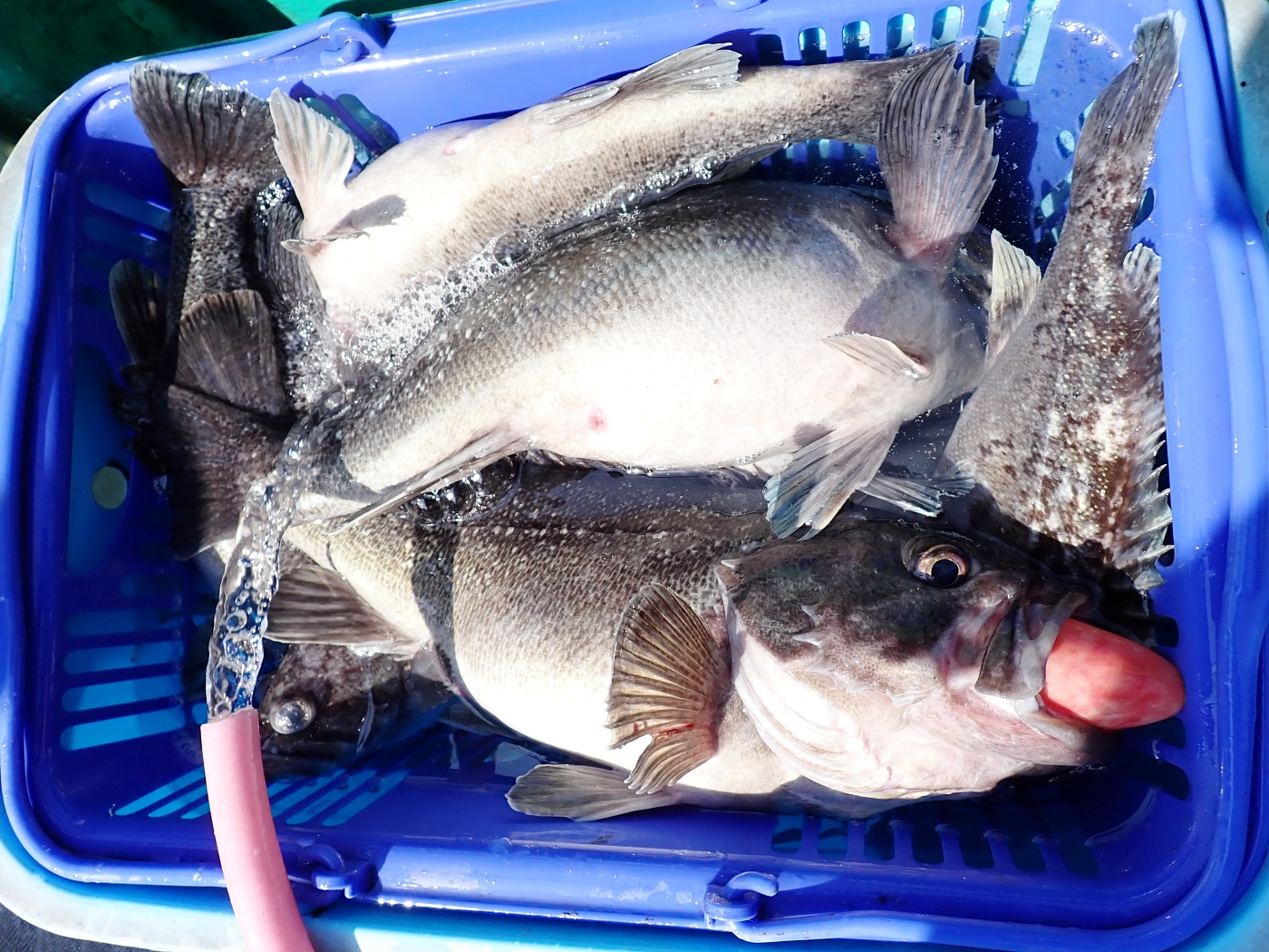
まだ時期的に早いかなと思いましたが、案外反応良くバタバタと!しかもデカソイ揃って、56㎝筆頭に50㎝オーバーの良型も多かったです🙆結構浮いていて、インチクなどは結構上でヒットすることもありました。
途中から潮ピタッと止まって食い悪くなりましたが、それでもポツポツ釣れて、後半も飽きない程度に楽しめました!竿友会のメンバーもご乗船されて、トップが5本重量で8㎏超えだったので、デカいの多かったですね。皆さんご乗船ありがとうございましたm(__)m
本日23(月)に船上架して、数日間、船底塗装や整備などを行う予定です。今後〜4月中頃まで沖根ソイや浮きソウハチ、4月下旬~GW過ぎまでは春のサクラマス予定です。各種ターゲットチャレンジお待ちしております🌸
56㎝の本日最大でした👏
ジグはダメで、インチクの方が反応良かった◎





